Skip the navigation and jump to this page's content.

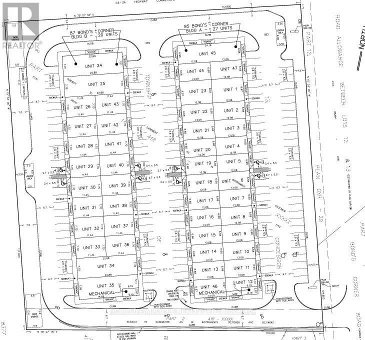
85 Bonds Corner Road Unit# 34 Woodstock, Ontario

PROPERTY INFO

Brand-new 1895 sq. ft. corner retail unit located in a high-exposure plaza an exceptional opportunity for investors and end users alike. Strategically positioned in Woodstock's thriving employment hub at the busy intersection of Oxford Road 4 and Dundas Street, just minutes from Highway 401, this location benefits from strong daily traffic, outstanding visibility, and convenient access. property taxes are not assessed. Featuring a modern façade, prominent signage opportunities, ample on-site parking, and surrounded by a rapidly growing residential and commercial population, this unit offers excellent long-term upside. Suitable for a wide range of professional and retail uses (subject to zoning approval).A rare combination of prime exposure, accessibility, and growth potential in one of Woodstock's most dynamic corridors. (id:4555)

PROPERTY SPECS

Price $1,231,750
City Woodstock, Ontario
Address 85 Bonds Corner Road Unit# 34
Listing ID X12845134
Style Retail
Type Industrial/Commercial
Status For Sale

EXTENDED FEATURES

Subtype Retail Ownership Freehold Heating / Cooling Forced air, Electric



team photo
Windsor: 519-903-9355
Toronto: 905-220-7333
Office: 905-335-3042

REQUEST MORE INFORMATION

Grocery Stores
Schools
Restaurants
Gas Stations
Banks
Parks
Transit
Police
Fire Station
Place of Worship
Please select an amenity above to view a list.





team photo

Connect with Us

Loading...