Skip the navigation and jump to this page's content.

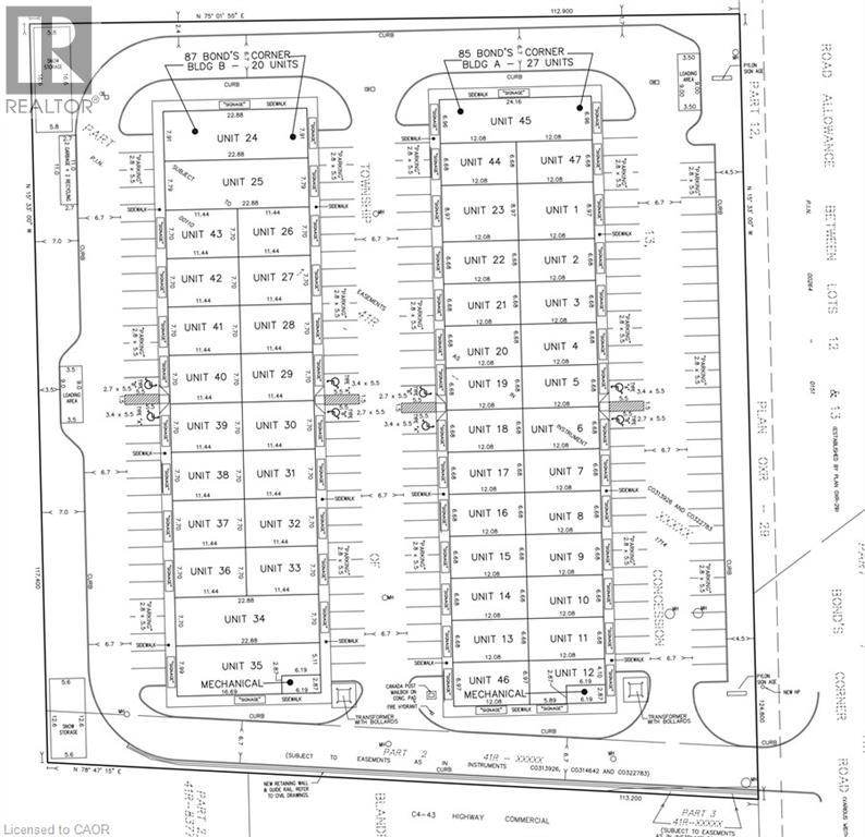
87 Bonds Corner Road Unit# 36 Woodstock, Ontario

PROPERTY INFO

Welcome to Bonds Corner Plaza, perfectly situated in Woodstock directly across from Toyota. This impressive pre-construction commercial unit presents a fantastic opportunity for both business owners and investors alike. Whether you're planning to launch your own venture or expand your investment portfolio, this property offers strong potential backed by steady rental demand in the area. Boasting a prime high-traffic location with easy access to Highway 401, surrounding residential communities, industrial facilities, and major employment hubs, this is a remarkable opportunity you won’t want to miss. (id:4555)

PROPERTY SPECS

Price $550,000
City Woodstock, Ontario
Address 87 BONDS CORNER Road Unit# 36
Listing ID 40803752
Square Footage 812
Type Industrial/Commercial
Status For Sale

EXTENDED FEATURES

Subtype Other Ownership Freehold Basement None Sewer Municipal sewage system



team photo
Windsor: 519-903-9355
Toronto: 905-220-7333
Office: 905-335-3042

REQUEST MORE INFORMATION

Grocery Stores
Schools
Restaurants
Gas Stations
Banks
Parks
Transit
Police
Fire Station
Place of Worship
Please select an amenity above to view a list.





team photo

Connect with Us

Loading...