Skip the navigation and jump to this page's content.

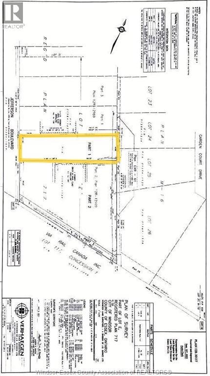
V/l Jefferson (btwn 1280&1290) Windsor, Ontario

PROPERTY INFO

Attention Builders and Self Builders! A fantastic opportunity! This 42 x 163.22 ft extra deep building lot is in a great Riverside location and is ready to build. Close to all amenities, parks and walking distance to David Suzuki Public School and George P Vanier French Catholic School. Sewers at lot line. Buyer to verify all service locations and permit requirements. Call for more information. Survey & report to confirm sewers locates is available. (id:4555)

PROPERTY SPECS

Price $179,900
City Windsor, Ontario
Address V/L JEFFERSON (BTWN 1280&1290)
Listing ID 26003885
Style No Building
Type Vacant Land
Status For Sale

EXTENDED FEATURES

Ownership Freehold



team photo
Windsor: 519-903-9355
Toronto: 905-220-7333
Office: 905-335-3042

REQUEST MORE INFORMATION

Grocery Stores
Schools
Restaurants
Gas Stations
Banks
Parks
Transit
Police
Fire Station
Place of Worship
Please select an amenity above to view a list.





team photo

Connect with Us

Loading...