Skip the navigation and jump to this page's content.

52a Beaufort Hills Road Richmond Hill, Ontario

PROPERTY INFO

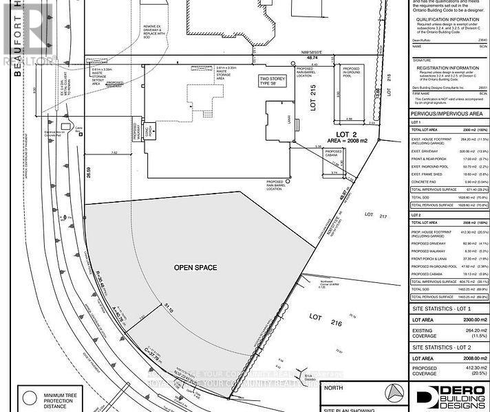
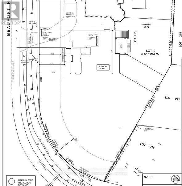
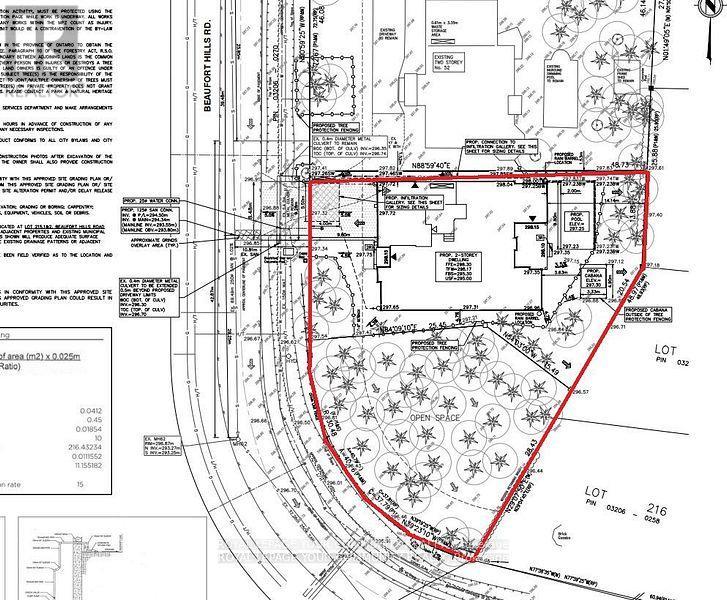
Attention builders, developers, and end-users, Welcome to 52A Beaufort Hills! This stunning mature lot, measuring a generous 167x157 ft, is now available for you to create your dream home. Located on the most desirable street in Oakridge's, this fully serviced lot offers an exceptional opportunity for anyone looking to build a home in a prime location. Nestled in a charming cul-de-sac, the severance has been approved by the City of Richmond Hill. As a seller, we are committed to providing a new PIN and registering the lot with all services paid, ensuring a smooth and hassle-free process for you. This incredible lot is sure to attract a lot of interest, so don't miss out on the chance to make your dream home a reality. Secure your place in this fantastic community today! (id:4555)

PROPERTY SPECS

Price $1,299,000
City Richmond Hill, Ontario
Address 52A Beaufort Hills Road
Listing ID N12432913
Type Vacant Land
Status For Sale

EXTENDED FEATURES

Ownership Freehold Basement Other, See Remarks, N/A Heating / Cooling Other Sewer Sanitary sewer



team photo
Windsor: 519-903-9355
Toronto: 905-220-7333
Office: 905-335-3042

REQUEST MORE INFORMATION

Grocery Stores
Schools
Restaurants
Gas Stations
Banks
Parks
Transit
Police
Fire Station
Place of Worship
Please select an amenity above to view a list.





team photo

Connect with Us

Loading...