Skip the navigation and jump to this page's content.

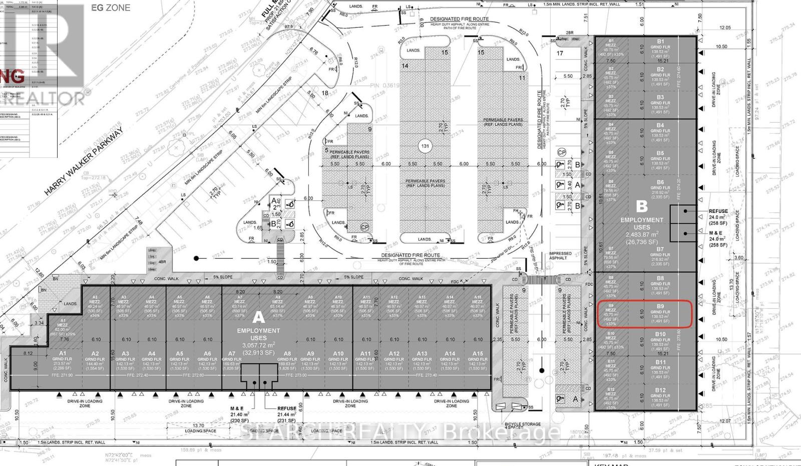
455 Harry Walker Parkway Unit# 24 Newmarket, Ontario

$1,199,000
  1 Full

PROPERTY INFO

New Industrial Condo in Prime Newmarket Location! Welcome to ELM Business Centre, Newmarket's newest state-of-the-art industrial development. Ideally situated just off Highway 404 at Mulock Drive, this brand-new industrial condo offers exceptional functionality and modern design. Features include large windows for natural light, a structural steel mezzanine, and a 12' x 14' drive-in grade-level door. Ample on-site parking, excellent signage exposure, and proximity to major amenities make this an outstanding opportunity to own in Newmarket's rapidly growing industrial hub. See attachment for a detailed list of upgrades. (id:4555)

PROPERTY SPECS

Price $1,199,000
City Newmarket, Ontario
Bath 1 Full
Address 455 Harry Walker Parkway Unit# 24
Listing ID N12472801
Type Industrial/Commercial
Status For Sale

EXTENDED FEATURES

Subtype Industrial Ownership Freehold Heating / Cooling Forced air, Natural gas



team photo
Windsor: 519-903-9355
Toronto: 905-220-7333
Office: 905-335-3042

REQUEST MORE INFORMATION

Grocery Stores
Schools
Restaurants
Gas Stations
Banks
Parks
Transit
Police
Fire Station
Place of Worship
Please select an amenity above to view a list.





team photo

Connect with Us

Loading...