Skip the navigation and jump to this page's content.

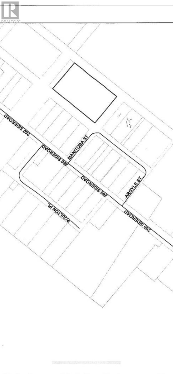
Lot 72-81 Plan 20a Melancthon, Ontario

PROPERTY INFO

Any reasonable offer will be considered ! 2.6 acre vacant lot - 10 separate pins - each lot could be sold individually -Reg'd Plan20A - see attachments for more info. located 10 mins north of Shelburne. there are no approvals in place the price is negotiable, Try your offer _ great opportunity to get a great deal - Also great place to build multi generation homes on one property. there is no municipal address. Google search 82 Argyle st Melancthon..(not for sale) this land is next door (id:4555)

PROPERTY SPECS

Price $959,000
City Melancthon, Ontario
Address Lot 72-81 Plan 20A
Listing ID X12723924
Land Size 2.461
Type Vacant Land
Status For Sale

EXTENDED FEATURES

Ownership Freehold



team photo
Windsor: 519-903-9355
Toronto: 905-220-7333
Office: 905-335-3042

REQUEST MORE INFORMATION

Grocery Stores
Schools
Restaurants
Gas Stations
Banks
Parks
Transit
Police
Fire Station
Place of Worship
Please select an amenity above to view a list.





team photo

Connect with Us

Loading...