Skip the navigation and jump to this page's content.

0-4496 Dominion Road Fort Erie, Ontario

PROPERTY INFO

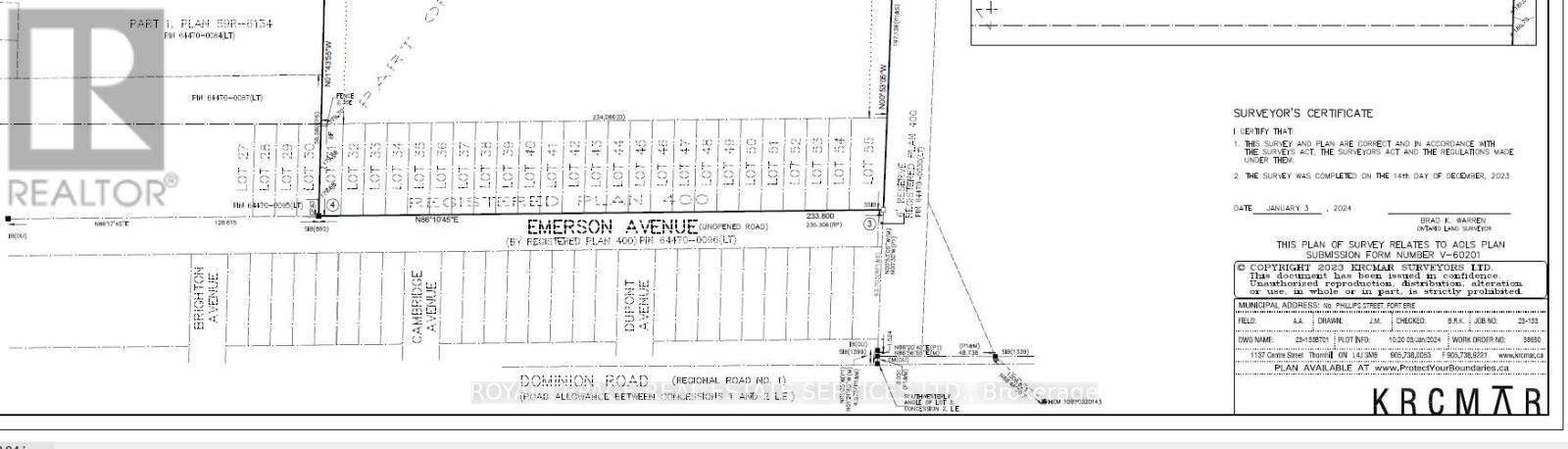
Two Parcel of Vacant Land, Walking Distance to the Crescent Beach, Conceptual plan showing 24 single lots(previously registred) on Emerson & Townhouses on the Dominion Road site, Buyer to do their own due diligence, the lots on Emerson are on the survey and legal description, the area is walking distance to the beach, services are available nearby to be extended to the property, Property is 6km from the Peace Bridge and entry into the United States,and only 4km from Queen Elizabeth Way. The surrounding community is primarily residential, with neighbourhoodbusinesses and some institutional uses (schools, sports centres). The site has high visibility from Dominion Road, waterfront areas. 5-minute drive from Walmart, Starbucks, Sobeys, LCBO. Fort Erie is projecting growth to 48,050 residents and 18,430 jobs by theyear 2051, needing to accommodate 15,230 new residents. (id:4555)

PROPERTY SPECS

Price $1,500,000
City Fort Erie, Ontario
Address 0-4496 DOMINION Road
Listing ID X12912650
Land Size 3.3
Type Vacant Land
Status For Sale

EXTENDED FEATURES

Ownership Freehold



team photo
Windsor: 519-903-9355
Toronto: 905-220-7333
Office: 905-335-3042

REQUEST MORE INFORMATION

Grocery Stores
Schools
Restaurants
Gas Stations
Banks
Parks
Transit
Police
Fire Station
Place of Worship
Please select an amenity above to view a list.





team photo

Connect with Us

Loading...