Skip the navigation and jump to this page's content.

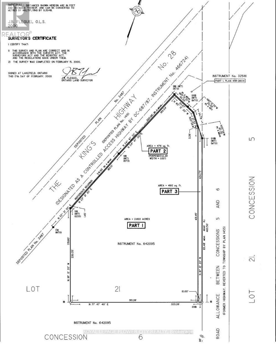
00000 Highway 28 Douro-Dummer, Ontario

PROPERTY INFO

2.74 Acre highway commercial zoned Land (c2-h) at the entrance of lakefield town. zoning Allowed Numerous of Business Ventures. Great Highway Exposure & Great site to Build (id:4555)

PROPERTY SPECS

Price $499,000
City Douro-Dummer, Ontario
Address 00000 Highway 28
Listing ID X12661638
Land Size 2.74
Type Vacant Land
Status For Sale

EXTENDED FEATURES

Features Irregular lot size Ownership Freehold Heating / Cooling No heat



team photo
Windsor: 519-903-9355
Toronto: 905-220-7333
Office: 905-335-3042

REQUEST MORE INFORMATION

Grocery Stores
Schools
Restaurants
Gas Stations
Banks
Parks
Transit
Police
Fire Station
Place of Worship
Please select an amenity above to view a list.





team photo

Connect with Us

Loading...