Skip the navigation and jump to this page's content.

14 Greengage Road Clearview, Ontario

PROPERTY INFO

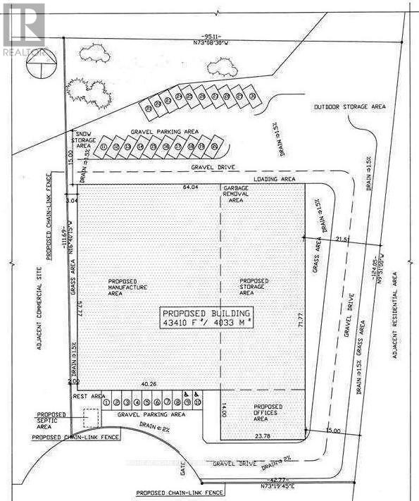
2.56 Acres Of Land With Industrial Zoning Includes Food Processing Establishment, Bakeries, Dairy Products Plant, Wineries, Breweries, Warehouses, Assembly Halls, Towing Compound, Adult Entertainment Business, Sawmill, Lumber Yard And More. Pre-Consultation Schematic Building Plan Up To 43,000 Sq Ft., Height Of Principal Building 18 M. Municipal Water, Hydro And Gas On Line! Short Access To Hwy 400! Close To Barrie! / Attention! 0.14 Acres Of Land Are Environment Protection Restrictions Do Not Allow Construction, Outside Storage or Parking, Blue Colour In The Picture #1/. (id:4555)

PROPERTY SPECS

Price $1,996,000
City Clearview, Ontario
Address 14 Greengage Road
Listing ID S12934362
Land Size 2.56
Type Industrial/Commercial
Status For Sale

EXTENDED FEATURES

Subtype Industrial Ownership Freehold Heating / Cooling No heat



team photo
Windsor: 519-903-9355
Toronto: 905-220-7333
Office: 905-335-3042

REQUEST MORE INFORMATION

Grocery Stores
Schools
Restaurants
Gas Stations
Banks
Parks
Transit
Police
Fire Station
Place of Worship
Please select an amenity above to view a list.





team photo

Connect with Us

Loading...