Skip the navigation and jump to this page's content.

4301 Palladium Way Unit# 2 Burlington, Ontario

PROPERTY INFO

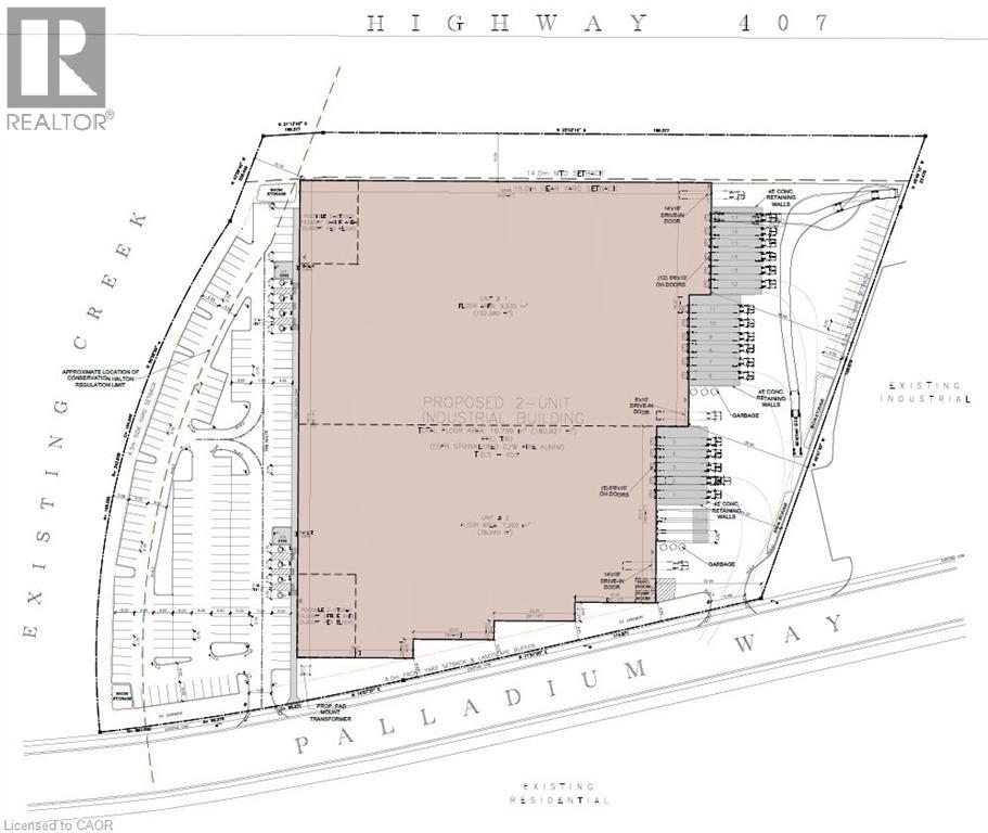
78,240 sq. ft. unit available in a new spec industrial development by Vicano Developments. Designed for efficiency and scale, the unit features 42' clear height, 8 truck-level doors, and 1 drive-in door. Excellent Highway 407 exposure provides strong signage opportunities. The property is wedll-served by nearby amenities and transit, with seamless access to Highways 403, QEW and 407. Q4 2027 delivery. (id:4555)

PROPERTY SPECS

Lease $1
City Burlington, Ontario
Address 4301 PALLADIUM Way Unit# 2
Listing ID 40803025
Square Footage 78240
Type Industrial/Commercial
Status For Lease

EXTENDED FEATURES

Subtype Industrial Community Features High Traffic Area Features Visual exposure Ownership Leasehold Basement None Sewer Municipal sewage system



team photo
Windsor: 519-903-9355
Toronto: 905-220-7333
Office: 905-335-3042

REQUEST MORE INFORMATION

Grocery Stores
Schools
Restaurants
Gas Stations
Banks
Parks
Transit
Police
Fire Station
Place of Worship
Please select an amenity above to view a list.





team photo

Connect with Us

Loading...