Skip the navigation and jump to this page's content.

111a Caplan Avenue Unit# A Barrie, Ontario

PROPERTY INFO

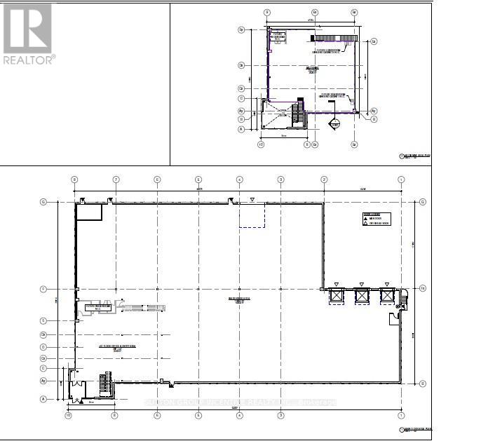
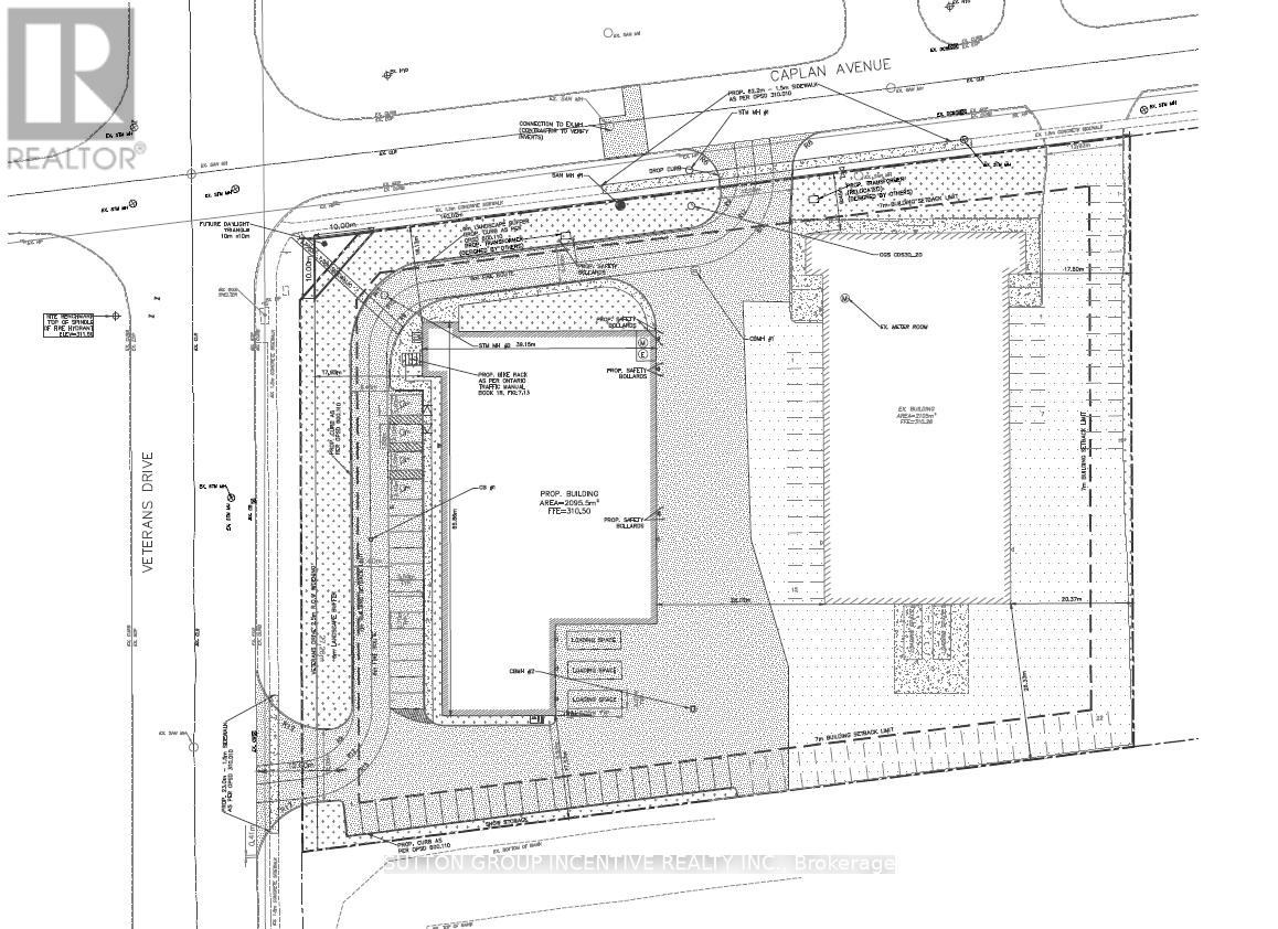
BRAND NEW INDUSTRIAL BUILDING - Completion target for December 2026. This high-profile corner facility at Veteran's Drive and Caplan Avenue offers exceptional visibility and corporate presence. Designed for functionality and efficiency, the building features just under 35' overall height, 30' clear ceiling height, and efficient 50'x54' bay sizing - providing maximum flexibility for warehousing, manufacturing, and logistics. New construction delivers energy efficiency and reduced operating costs. Two points of access to the building and a centrally positioned footprint on the site allow for smooth, uninterrupted logistics and circulation. Light Industrial zoning permits a broad range of uses. The Landlord is prepared to consider competitive tenant incentive packages for qualified tenants. Additional rent is estimated and subject to construction completion and re-assessment. (id:4555)

PROPERTY SPECS

Lease $14
City Barrie, Ontario
Address 111A Caplan Avenue Unit# A
Listing ID S12693568
Style Warehouse
Land Size 1.76
Type Industrial/Commercial
Status For Lease

EXTENDED FEATURES

Subtype Industrial Ownership Leasehold Heating / Cooling Forced air, Natural gas



team photo
Windsor: 519-903-9355
Toronto: 905-220-7333
Office: 905-335-3042

REQUEST MORE INFORMATION

Grocery Stores
Schools
Restaurants
Gas Stations
Banks
Parks
Transit
Police
Fire Station
Place of Worship
Please select an amenity above to view a list.





team photo

Connect with Us

Loading...